Cell: (541) 771-4824
Sign Up Login
Refine Search

75325 Mosby Creek Rd, Cottage Grove, OR 97424

$1,999,995
Matterport Tour Logo Virtual Tour

48 Total Photos [Click to View All]

Property Description

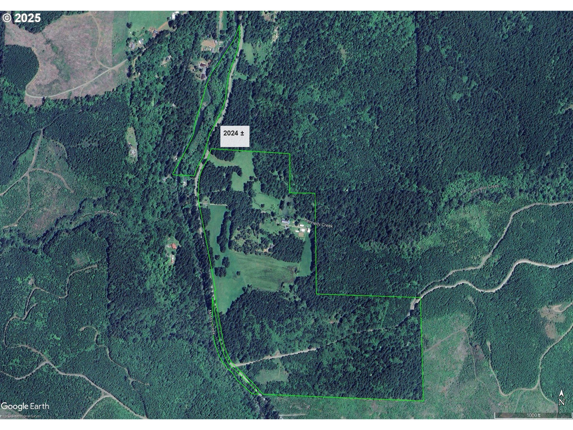
Last house on the road! The Mosby Creek Farm & Forest of 142.16+ acres adjoin 29k+ acres of timberland that is accessible for recreational use by permit along with thousands of acres of BLM. Perfect for family compound with 2 permitted residences along with 1 mobile home used for a medical hardship that has expired. All homes are hidden from the county road behind trees & pasture providing privacy & seclusion. The main home of 2371 sqft with 4 bedrooms & 3 baths was custom built by the current landowner in 1992. It is well-cared for with regular maintenance. The 1952 log cabin is 1848 sqft of rustic charm with 2 bedrooms & 2 baths. The breezeway from the cabin connects to a large garage with a loft. The 1995 single-wide is 850 sqft, 2 beds & 2 baths. There are several outbuildings to support country living including a shop with bathroom, barn, covers, chicken coop & sheds. The land is immaculately maintained with a park-like setting through the forestland. The orchard has apple & pear trees & the garden has raspberries & blueberries. Sweeping fields & scattered meadows provide good forage for livestock & the resident deer. All pastures are parameter fenced. There is an abundance of water features including 3375' + of beautiful Mosby Creek with Chinook salmon & steelhead. Coastal cutthroat trout is open to fishing year-round. Kennedy Creek flows through the property into a large pond with island. There are 2 more spring ponds on the property. There is ~23 acres of pasture ground & 3+ acres in meadows/yard. The timberland consists of 13+ acres Doug-fir (DF) reprod & 83+ acres of merchantable timber. A timber cruise this year estimates a total merch volume of 1,387mbf all ground-based logging. Topography is level to gently sloping with great views of the surrounding forestland & mountains. One-of-a-kind opportunity in the heart of some of Oregon's most gorgeous country. See for yourself & schedule a showing! Shown by appt. only to qualified Buyers with Broker present.

75325 Mosby Creek Rd | MLS# 590443754

This single family home located at 75325 Mosby Creek Rd, Cottage Grove, OR 97424 is currently listed for sale with an asking price of $1,999,995. This property was built in 1992 and has 4 bedrooms and 3 full baths with 2371 sq. ft. Search Cottage Grove real estate on otiscraig.bendpremierrealestate.com today.

Property Features

Property Type: Residential - Single Family
Basement: Crawl Space
Cooling: None
Fenced: Yes
Fireplaces: 1
Fuel Type: Electricity
Garage: 2 car attached
Heating: Forced Air, Wood Stove
Home Style: 2 Story, Colonial
Lot Size: 142.16 Acres
Roof Type: Composition, Shingle
Stories: 2.0
Taxes: $4,041
Year Built: 1992
Square Feet: 2,371

Feature Descriptions

Accessibility: Garage on Main
Bathroom: 1.0 (Main), 2.0 (Upper)
Body of Water: Mosby & Kennedy CK
Days on Site: 4
Exterior: Lap Siding, Wood Composite
Exterior: Barn, Covered Deck, Cross Fenced, Fenced, Garden, Outbuilding, Patio, Porch, Poultry Coop, Rain Barrel-Cistern(s), RV Parking, RV-Boat Storage, Second Residence, Sprinkler, Tool Shed, Workshop, Yard
Fireplace: Wood Burning
Hot Water: Electricity, Tank
Interior: Garage Door Opener, Hardwood Floors, Jetted Tub, Laundry, Soaking Tub, Vinyl Floor, Washer-Dryer, Water Purifier, Wood Floors
Kitchen: Built-in Oven, Cook Island, Cooktop, Dishwasher, Disposal, Double Oven, Free-Standing Refrigerator, Tile
Lot: Gentle Sloping, Level, Merchantable Timber, Pasture, Pond, Reproduced Timber
Parking Notes: Attached, Oversized, Covered, Driveway
Sewer: Standard Septic
Special View Info: Mountain, Pond, Trees/Woods
Square Footage: 1191 (Main), 1180 (Upper)
Water: Well
Waterfront: Creek

Local Schools

High School: Cottage Grove
Middle School: Lincoln
Elementary School: Dorena

Listed By / Shown By

Listed By

Agency Name: Made Out West Land Company, LLC
Agency Phone: 503-623-2292

Shown By

Agent Name: Otis Craig, Broker
Agent Phone: Cell: (541) 771-4824
Agency Title: Bend Premier Real Estate

IDX logo

Estimate Your Payment

Estimated Payment

$ 11,033.14 per month $10,113.06 Principal & Interest $336.75 Property Tax $583.33 Homeowner's Insurance

Change Payment Information

%
years/fixed
yearly
yearly (est.)
(Payments are an estimate and may vary by lender)
Disclaimer: All information deemed reliable but not guaranteed. All properties are subject to prior sale, change or withdrawal. Neither listing broker(s) or information provider(s) shall be responsible for any typographical errors, misinformation, misprints and shall be held totally harmless. Listing(s) information is provided for consumers personal, non-commercial use and may not be used for any purpose other than to identify prospective properties consumers may be interested in purchasing. Information on this site was last updated 04/05/2026. The listing information on this page last changed on 04/05/2026. The data relating to real estate for sale on this website comes in part from the Internet Data Exchange program of Delta Media Group MLS (last updated Sun 04/05/2026 1:28:13 AM EST) or RMLS (last updated Sun 04/05/2026 1:22:18 AM EST) or COAR/MLSCO (last updated Sun 04/05/2026 1:21:18 AM EST). Real estate listings held by brokerage firms other than Bend Premier Real Estate may be marked with the Internet Data Exchange logo and detailed information about those properties will include the name of the listing broker(s) when required by the MLS. All rights reserved.

The content relating to real estate for sale on this web site comes in part from the IDX program of the RMLS of Portland, Oregon. Real estate listings held by other brokerage firms are marked with the RMLS logo, and detailed information about these properties includes the names of the listing brokers. Listing content is copyright © 2026 RMLS, Portland, Oregon. Some properties which appear for sale on this web site may subsequently have sold or may no longer be available.

Privacy Policy / DMCA Notice / ADA Accessibility

Login to My Homefinder

Pixel